San Pellegrino – Casa singola con giardino (Rif. RV4145)

Casa singola su due livelli con annessi bassi servizi ed ampio giardino di 615 mq circa che la circonda su quattro lati, completamente da ristrutturare.
L’immobile si trova di fronte al parco pubblico della zona, quartiere residenziale tranquillo ed immerso nel verde, ma comodo al centro cittadino raggiungibile comodamente con il trasporto pubblico.
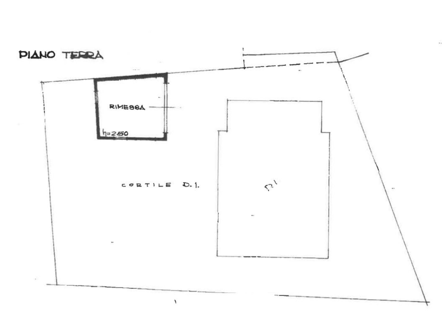
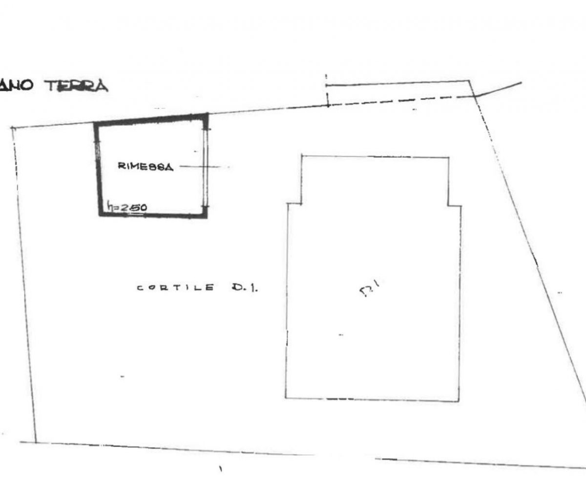
Al piano terra si trovano ingresso su ampio corridoio, ripostiglio, vari locali adibiti a cantina, bagno ed ulteriori bassi servizi.
Esternamente è presente un ampio garage triplo di 40 mq circa in fabbricato a parte.
Al primo piano, di circa 130 mq, raggiungibile da scala interna, ingresso su ampio corridoio arredabile, cucinotto, sala da pranzo, balcone con vista sul parco, disimpegno notte, tre camere matrimoniali e bagno finestrato.
L’immobile è completamente da ristrutturare, possibilità di ricavare due unità abitative.
(Come in gran parte dell’area Crostolo / Parco / Zona Caprette, il terreno sul quale è costruita la casa è proprietà demaniale, pertanto c’è da corrispondere un canone da pagare annualmente).
Classe energetica G.

Posizione